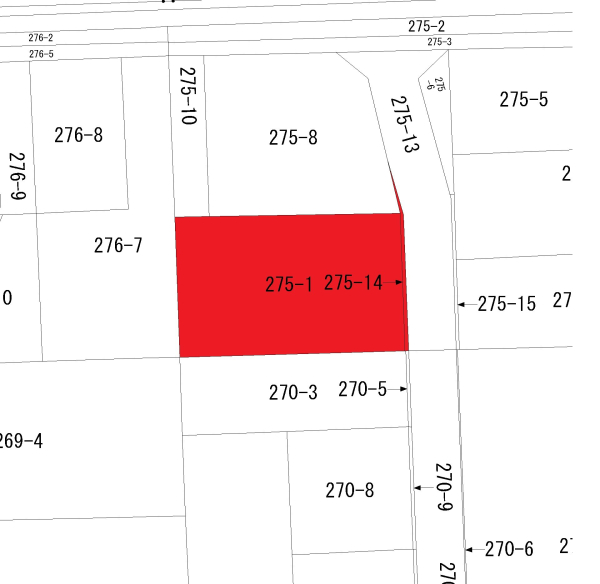
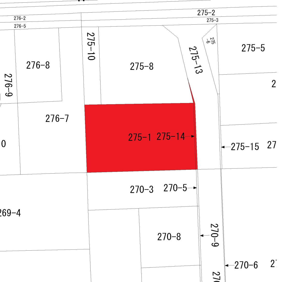
宇部市妻崎開作
- 土地
物件情報
| 価格 | 1,280万円 |
|---|---|
| 現況 | 更地 |
| 取引形態 | 仲介 |
| 所在地 | 宇部市妻崎開作 |
|---|---|
| 交通 | 小野田線 妻崎駅 徒歩30分 |
| 学校区 | 黒石 黒石 |
土地情報
| 土地面積 | 471.59㎡、142.65坪 |
|---|---|
| 建ぺい率 | 60% |
| 容積率 | 200% |
| 地目 | 田 |
| 用途地域 | 準工業地域 |
| 地勢 | 平坦 |
| 権利 | 所有権 |
設備など
| 電気 | |
|---|---|
| ガス | |
| 水道 | 公営水道 |
| 排水 | 公共下水 |
| 接道 | 東 幅員:6.1m 接面:17.1m |
| その他の設備 | |
| 備考・その他 |
地図
» 大きい地図で見る
※価格は変動する場合もあります。
※間取り、坪数などの詳細情報は実際には若干異なる場合がありますので、お問い合わせください。


